Okay, so another typhoon is making headlines. We’ve all seen them before, right? But here’s the thing: Typhoon Ragasa path isn’t just another blip on the weather radar. It’s different, and you need to understand why. What fascinates me is the confluence of factors that makes this particular storm system so noteworthy. It’s not just about the wind speed or the rainfall; it’s about where it’s headed and when it’s arriving. Let’s dive in, shall we?
Ragasa’s Unusual Trajectory | A Cause for Concern

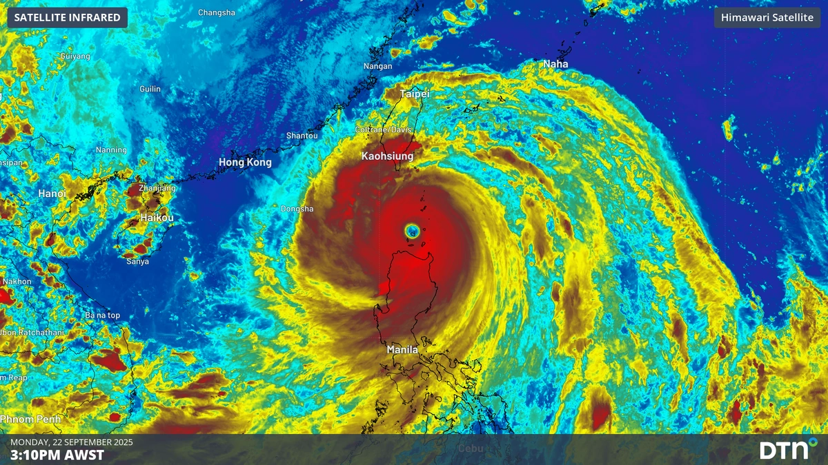
The projected Typhoon Ragasa trajectory is what’s got meteorologists on edge. Usually, these storms follow a predictable pattern, curving out into the open ocean. But Ragasa? It seems to be playing by its own rules. The current forecast models show it veering closer to populated areas than initially expected. And, let’s be honest, that’s never a good sign. What I initially thought was a storm heading out to sea has quickly morphed into something far more serious.
But why is this happening? A lot of it comes down to something called the steering winds. These are high-altitude winds that act like invisible currents, guiding the typhoon’s path. This year, those steering winds are behaving erratically, and that’s throwing Ragasa off course. This unusual behavior in the steering winds could be attributed to a number of factors, including long-term shifts in global weather patterns – in other words, climate change. It’s a complex issue, but the bottom line is this: expect the unexpected when it comes to Ragasa.
What Does This Mean for You? Preparing for Potential Impacts
Alright, so the storm’s path is unpredictable. What does that actually mean for you and your family? Well, it means it’s time to get prepared. And I don’t mean just stocking up on bottled water and canned goods (though, that’s definitely a good start!). It means having a plan. A plan for where you’ll go if you need to evacuate. A plan for how you’ll communicate with your loved ones if the power goes out. A plan for how you’ll protect your property from potential damage. It seems daunting, I know, but breaking it down into smaller steps makes it manageable.
A common mistake I see people make is waiting until the last minute to prepare. Don’t do that. Now’s the time to check your emergency kit, review your evacuation route, and make sure your insurance policies are up-to-date. Speaking of insurance, it’s vital to understand what your policy covers in the event of typhoon damage. Many policies have specific clauses related to wind damage, flooding, and storm surge, so knowing the details can save you a lot of headaches later. Don’t just assume you’re covered; take the time to read the fine print or speak with your insurance agent. Check this out
Understanding the Forecast | Beyond the Headlines
Navigating Typhoon Ragasa forecast updates can feel like trying to decipher a foreign language. There’s so much jargon millibars, isobars, eye walls that it’s easy to get lost in the details. But here’s the thing: understanding the basics can empower you to make informed decisions about your safety. The National Weather Service is a great resource , providing detailed forecasts and safety tips.
What fascinates me is how quickly these forecasts can change. One minute, the storm is projected to pass harmlessly offshore; the next, it’s bearing down on a major city. That’s why it’s crucial to stay updated with the latest information from reliable sources. Don’t rely on social media rumors or sensationalized news reports. Stick to the official forecasts from the National Weather Service and your local news outlets. These sources use sophisticated models and data to provide the most accurate predictions possible. Remember, an informed decision is always the best decision.
The Economic Ripple Effect | Beyond Personal Impact
It’s easy to focus on the immediate threat to life and property during a typhoon, but the economic ripple effects can be just as devastating. From disruptions to supply chains to damage to critical infrastructure, the Ragasa typhoon impact has the potential to affect entire communities for months or even years to come. Think about it: damaged roads can hamper the delivery of essential goods, power outages can cripple businesses, and widespread flooding can contaminate water supplies.
But how can you prepare for these indirect impacts? One way is to support local businesses in your community. When small businesses are struggling, your patronage can make a big difference. Another way is to be mindful of your consumption habits. During and after a typhoon, resources can be scarce, so it’s important to conserve water, electricity, and other essential supplies. Every little bit helps, and by working together, we can minimize the economic fallout from Typhoon Ragasa.
And it is vital to consider that many areas in its path could suffer from typhoon-related flooding . Coastal regions and low-lying areas are particularly vulnerable, and heavy rainfall can quickly overwhelm drainage systems, leading to widespread inundation. Preparing for potential flooding involves taking steps to protect your property, such as elevating valuables and sealing off vulnerable entry points. It also means being aware of flood warnings and evacuation orders, and being prepared to move to higher ground if necessary.
Long-Term Recovery | Building Back Stronger
The immediate aftermath of a typhoon is often chaotic and overwhelming. There’s so much to do assessing the damage, filing insurance claims, cleaning up debris that it’s easy to feel lost and overwhelmed. But it’s important to remember that recovery is a marathon, not a sprint. And while the road ahead may be long and difficult, there are steps you can take to build back stronger and more resilient than ever before.
One key aspect of long-term recovery is community involvement. Volunteering your time and resources to help your neighbors can not only make a tangible difference but also foster a sense of solidarity and hope. Another important factor is investing in infrastructure improvements. Building stronger roads, bridges, and levees can help protect communities from future disasters. Click here for details
FAQ About Typhoon Ragasa
What is the current predicted path of Typhoon Ragasa?
The latest forecasts indicate a more erratic path, potentially closer to populated areas. Stay updated with the National Weather Service for the most current information.
How can I prepare my home for a typhoon?
Secure loose objects, reinforce windows, trim trees, and clear gutters. Consider a generator for power outages.
What should be in my emergency kit?
Water, non-perishable food, first-aid supplies, medications, flashlight, batteries, and a battery-powered radio.
What if evacuation is necessary?
Follow official evacuation orders, secure your home, and take your emergency kit and important documents with you.
How can I stay informed during the storm?
Monitor local news, weather channels, and official government websites for updates and safety instructions.
What should I do after the typhoon passes?
Assess damage, report hazards, avoid downed power lines, and follow instructions from local authorities.
So, where does this leave us? Prepared, I hope. Ragasa is a reminder that nature is a force to be reckoned with, but with knowledge and proactive planning, we can mitigate its impact and protect ourselves, our families, and our communities. The key takeaway? Don’t underestimate this storm. Stay informed, stay prepared, and stay safe. Now, go check those batteries!